今日は、
デジタルカメラで写真を撮ろう!

ということで、双海へ
スペシャルティコースを開催してきました!!

実際に、水中という特殊なところへカメラを持っていくには
様々なメンテナンスが必要です

天気予報には嘘つかれ・・
お天気はあいにくの
雨がチラチラ

フォトダイバーはTUSさんです!!

お疲れ様でした

TSUさん撮ってマス

撮ってマス

2ダイブで
約40枚写真を撮影しました


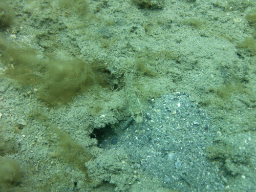
こちらは、
TSUさんが撮影した写真
おいしそうなメバルからハゼ・ハゼ・ハゼそして、リュウグウウミウシの仲間?
(ウミウシも双海にいるんですじょ

)

ワイドからマクロまで様々な形で撮影

写真提供ありがとうございました

明日も、
写真取りまくりダイブです
明日も楽しみです

宜しくお願いします。
********************************************
そして、BAJAMAR Tシャツ
NEW
バージョン登場!!
メキシコカボサンルーカスリメイク版は、
1995年に設立された当初のBAJAMARTシャツを忠実に再現。
人気があるんですよ~ん

前回まで、白・グレーの2色だったのですが・・・


Tシャツの
カラーが増えました

(ネイビー・ピンク・オレンジ・オリーブ・イエロー・・・・)
ロゴやフラッグが白のものや
ロゴとフラッグが逆転しているタイプもあります

私お勧めの
イエロ~
わたくし個人的には、幸せカラーです


そして、このはと胸な横地さんお勧めはネイビーとピンク
ピンクに白ロゴもあります

横地さん フェミニンです
リゾート地 カボが好きな方、
イルカが好きな方、
バハマールの非常勤スタッフを狙っている方(笑)
などなど・・・
是非
チェック
してくださいね

どれでも一枚
1,680円(税込)
PR